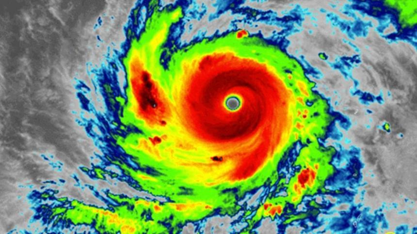
Jebi, cel mai puternic taifun care a lovit Japonia în ultimii 25 de ani, a atins vestul ţării, marţi, potrivit agenţiei naţionale meteorologice, aducând vânt cu viteze de până la 216 kilometri pe oră şi ploi puternice.
Avertizări pentru evacuare au vizat peste 300.000 de oameni, inclusiv pe cei din portul Kobe, iar autorităţile au amenajat 1.500 de adăposturi.
Aproximativ 600 de zboruri au fost anulate, între care şi unele internaţionale, precum şi transportul cu feribotul.

